DEN HAAG/FREMANTLE - Een half jaar na de mysterieuze verdwijning van de Boeing 777 van Malaysia Airlines, vlucht MH370, staan Nederlandse experts op het punt om de bodem van de Indische Oceaan meter voor meter af te speuren naar het verdwenen toestel. Met 60.000 tot 70.000 vierkante kilometer is het zoekgebied ongeveer twee keer zo groot als Nederland. De operatie kan een jaar duren.
"We zijn vereerd dat we het mogen doen. Het is een heel uitdagende en lastige opdracht", zegt Rob Luijnenburg woordvoerder van Fugro. Het Nederlandse bedrijf is gespecialiseerd in bodemonderzoek en leidt de zoekmissie onder water. Het zoeken naar de speld in een hooiberg moet in oktober beginnen.
Sinds juli is het Fugro-schip Equator bezig de grotendeels onontgonnen zeebodem nauwkeurig in kaart te brengen. Dat is nodig om met de tweede fase te kunnen beginnen: vlak boven de ruige zeebodem - op soms wel 5 kilometer diepte - zoeken met geavanceerde apparatuur.
Sonarapparatuur
Twee schepen van Fugro, de Equator en de Discovery, zullen daarbij ieder een soort slede voorttrekken op 150 meter boven de bodem. De sledes bevatten sonarapparatuur die recht naar beneden en opzij 'kijkt', maar ook camera's en 'sniffers' waarmee kerosine (vliegtuigbrandstof) in het zeewater gedetecteerd kan worden.
De sonarbeelden worden realtime doorgestuurd. Vele ogen, zowel aan boord van de schepen als op kantoor, zullen eroverheen gaan, op zoek naar een glimp van de Boeing. "We mogen niets missen. We moeten alle dagen scherp zijn", zegt Luijnenburg.
Vergeleken met de zoektocht naar het vliegtuig van Air France dat in 2009 op vlucht 447 in de Atlantische Oceaan stortte, is de missie om het toestel van vlucht MH370 te vinden nog uitdagender. "De Atlantische Oceaan was al goed in kaart gebracht. Bovendien waren er wrakstukken gezien van het Air France-vliegtuig. Binnen 20 mijl daarvan werd het toestel gevonden", aldus Luijnenburg.
Van de Boeing van Malaysia Airlines ontbreekt nog steeds ieder fysiek spoor. Het verkeersvliegtuig verdween op 8 maart met 239 mensen aan boord op weg van Kuala Lumpur naar Peking. Zoektochten met vliegtuigen, schepen en een geavanceerde onderwaterrobot leverden niets op.

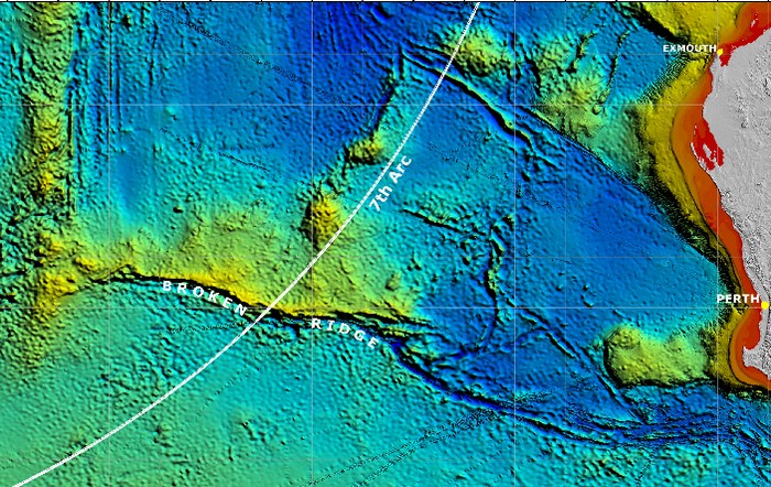
Het gebied waar Fugro gaat zoeken, is na bestudering van satellietgegevens aangewezen als de plek waar het vliegtuig waarschijnlijk is terechtgekomen. Het ligt zeer afgelegen, op 1500 tot 2000 kilometer ten westen van Australië.
(c) Reismedia / ANP











































































Ontvang een jaar lang 30% korting op het beste van Luchtvaartnieuws en Zakenreisnieuws. Krijg onbeperkt toegang tot al het nieuws en de bijbehorende Apps. Ontvang tevens 12 maanden het Luchtvaartnieuws Magazine in de mail of op de mat.